•   
    • > Á¶È², Á¶Çà±â > Á¶È²Á¤º¸

    Á¶È²Á¤º¸

    Á¶È²Á¤º¸ º¸±â
    ³¯¾¾¿¡ º¯ÇÔ¾ø´Â È£Á¶È²
    Á¶È²Á¤º¸ º¸±â
    ÀÛ¼ºÀÚ : ¸¶Àü³¬½Ã°ø¿ø µî·ÏÀÏ : 2024.07.26

     

     

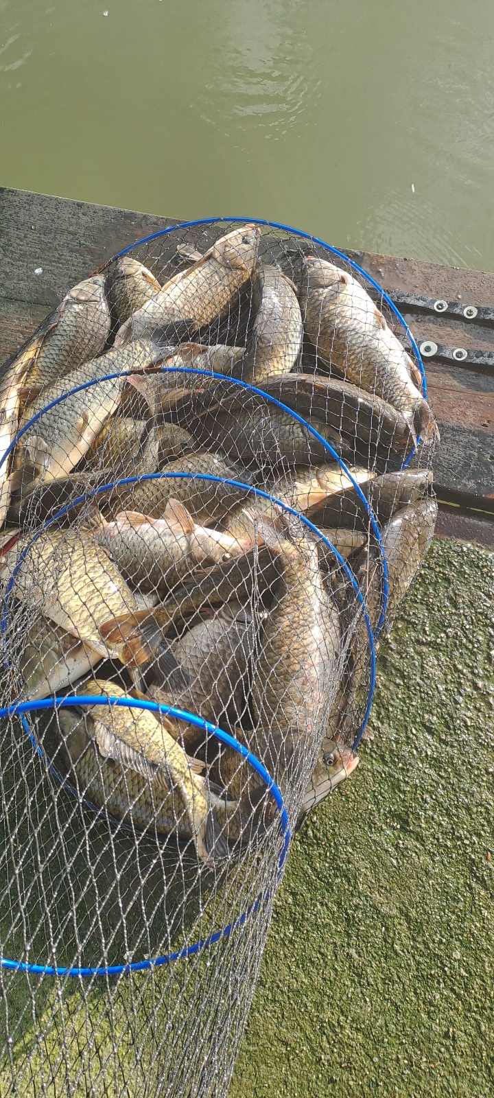
    ¾È³çÇϼ¼¿ä. ¸¶ÀüÁö±âÀÔ´Ï´Ù.

    ÇÑ Â÷·Ê ºñ°¡ ¿À´õ´Ï Æø¿°À̶ó´Ï.. ¿äÁò Á¤¸» ÈûÀÌ µå´Â ³¯¾¾ÀÔ´Ï´Ù.

    ¾îÁ¦ Áߺ¹Àθ¸Å­ ±â·Âº¸Ãæ Çϼ̳ª¿ä?

    ¸øÇÏ¼Ì´Ù¸é ¿À´ÃÀ̶ó°í ¸öº¸½Å ÇÏ½Ã°í ±â¿î³ª´Â ÇÏ·ç º¸³»½Ã±æ ¹Ù¶ø´Ï´Ù.

    ³¯¾¾¿¡ ÀüÇô ¿µÇâ ¹ÞÁö ¾Ê´Â ²ÙÁØÇÑ È£Á¶È²Àº ¿À´Ãµµ °è¼ÓµË´Ï´Ù.

    ¹ã³· ±¸ºÐ¾ø°í ÀÚ¸®ÆíÂ÷ ¾øÀÌ °ñ°í·ç Àß ³ª¿ÍÁÝ´Ï´Ù.

    ¾î´À ¶§º¸´Ù ´õ ±æ°Ô ´Ê°ÜÁ³´ø ´Ù»ê´Ù³­ Çß´ø À̹ø ÁÖ,

    ÃæºÐÇÑ ÈÞ½ÄÀ¸·Î ¿¡³ÊÁö ÃæÀüÇϽô ÁÖ¸» º¸³»½Ã±æ ¹Ù¶ø´Ï´Ù.

     

     

     

     

    ¸ÅÁÖ È­,¸ñ,±Ý,Åä ºØ¾î ¹æ·ùÇÕ´Ï´Ù.







    ¸¸¼ö¸¦ À¯ÁöÇϰí ÀÖ½À´Ï´Ù.

     

     

     

     

     

    KakaoTalk_20240726_093652655.jpg

     

     

    KakaoTalk_20240726_093652655_01.jpg

     

     

    KakaoTalk_20240726_093652655_02.jpg

     

     

    KakaoTalk_20240726_093652655_03.jpg

     

     

    KakaoTalk_20240726_093652655_04.jpg

     

     

    KakaoTalk_20240726_093652655_05.jpg

     

     

    KakaoTalk_20240726_093652655_06.jpg

     

     

    KakaoTalk_20240726_093652655_07.jpg

     

     

    KakaoTalk_20240726_093652655_08.jpg

     

     

    KakaoTalk_20240726_093652655_09.jpg

     

     

    KakaoTalk_20240726_093652655_10.jpg

     

     

    KakaoTalk_20240726_093652655_11.jpg

     

     

    KakaoTalk_20240726_093652655_12.jpg

     

     

    KakaoTalk_20240726_093652655_13.jpg

     

     

    KakaoTalk_20240726_093652655_14.jpg

     

     

    KakaoTalk_20240726_093652655_15.jpg

     

     

    KakaoTalk_20240726_093652655_16.jpg

     

     

    KakaoTalk_20240726_093652655_17.jpg

     

     

    KakaoTalk_20240726_093652655_18.jpg

     

     

    KakaoTalk_20240726_093652655_19.jpg

     

     

    KakaoTalk_20240726_093652655_20.jpg

     

     

    KakaoTalk_20240726_093652655_21.jpg

     

     

    KakaoTalk_20240726_093652655_22.jpg

     

     

    KakaoTalk_20240726_093652655_23.jpg

     

     

    KakaoTalk_20240726_093652655_24.jpg

     

     

    KakaoTalk_20240726_093652655_25.jpg

     

     

    KakaoTalk_20240726_093652655_26.jpg

     

    KakaoTalk_20240726_093652655_27.jpg

     

     

    KakaoTalk_20240726_093734431.jpg

     

     

    KakaoTalk_20240726_093734431_01.jpg

     

     

    KakaoTalk_20240726_093734431_02.jpg

     

     

    KakaoTalk_20240726_093734431_03.jpg

     

     

    KakaoTalk_20240726_093734431_04.jpg

     

     

    KakaoTalk_20240726_093734431_05.jpg

     ¸ñ¿äÀÏ ¹æ·ù »çÁøÀÔ´Ï´Ù.

     

    KakaoTalk_20240726_093734431_06.jpg

     

     

    KakaoTalk_20240726_093734431_07.jpg

     

     

    KakaoTalk_20240726_093734431_08.jpg

     

     

    KakaoTalk_20240726_093734431_09.jpg

     

     

    KakaoTalk_20240726_093734431_10.jpg

     

     

    KakaoTalk_20240726_093734431_11.jpg

     

     

    KakaoTalk_20240726_093734431_12.jpg

     

     

    KakaoTalk_20240726_093734431_13.jpg

     

     

    KakaoTalk_20240726_093734431_14.jpg

     

     

    KakaoTalk_20240726_093734431_15.jpg

     

     

    KakaoTalk_20240726_093734431_16.jpg

     

     

    KakaoTalk_20240726_093734431_17.jpg

     

     

    KakaoTalk_20240726_093734431_18.jpg

     

     

    KakaoTalk_20240726_093734431_19.jpg

     

     

    KakaoTalk_20240726_093754989.jpg

     

     

    KakaoTalk_20240726_093754989_01.jpg

     

     

    KakaoTalk_20240726_093837624.jpg

     

     

    KakaoTalk_20240726_093854059.jpg

     

     

    KakaoTalk_20240726_103312484.jpg

     

     

    KakaoTalk_20240726_103312484_01.jpg

     

     

    KakaoTalk_20240318_095555264.jpg

     

     ¾ÆÄí¾ÆÅØ¹è Àü±¹ ³¬½Ã´ëȸ ÀÏÁ¤Ç¥ÀÔ´Ï´Ù.

     

     

    KakaoTalk_20240320_111840958.jpg

     

     

    KakaoTalk_20240320_111840958_01.jpg

     

     ¾ÆÄí¾Æ ¿øÅ×ÀÌÅ©Âî¿Í ºÎǰµéÀÌ »õ·Î ÀÔ°í!!

     

     

    01.JPG

     

    02.JPG

     

     

     

     

     

    03.JPG

     

     

     

    04.JPG

     

     

     

     

     

     

    Á¦¸ñ ¾øÀ½SS.png

          

     

     

     

    ¸ñ·Ï



      [¸¶Àü³¬½Ã°ø¿ø´ÔÀÇ ´Ù¸¥±Û]   + Àüü : 666    ÆäÀÌÁö : /27
    Á¶È²Á¤º¸
    ¹øÈ£ Á¦¸ñ ÀÛ¼ºÀÚ ³¯Â¥ Á¶È¸
    516 ¹«´õÀ§¸¦ À̱ä Á¶È² ¸¶Àü³¬½Ã°ø¿ø 2024-08-21 71
    515 ¹«´õÀ§ ¼Ó¿¡¼­µµ ¸¶Àü³¬½Ã°ø¿ø 2024-08-19 70
    514 ¸·À» ¼ö ¾ø´Â È£Á¶È² ¸¶Àü³¬½Ã°ø¿ø 2024-08-16 57
    513 ³¯¾¾¸¦ ÀÌ±ä ´ë¹Ú Á¶È² ¸¶Àü³¬½Ã°ø¿ø 2024-08-14 66
    512 È£Á¶È² ÁÖ¸» ¼Ò½Ä ¸¶Àü³¬½Ã°ø¿ø 2024-08-12 63
    511 È£Á¶È²ÀÇ ±â¼¼ ¸¶Àü³¬½Ã°ø¿ø 2024-08-09 67
    510 ²ÙÁØÇÑ È£Á¶È² ¼Ò½Ä ¸¶Àü³¬½Ã°ø¿ø 2024-08-07 61
    509 8¿ù ½ÃÀÛµµ ±âºÐÁÁ°Ô ¸¶Àü³¬½Ã°ø¿ø 2024-08-05 64
    508 ¿¡³ÊÁö °¡µæ 8¿ù ¸¶Àü³¬½Ã°ø¿ø 2024-08-02 53
    507 7¿ù ¸¶Áö¸· ±îÁöµµ ¸¶Àü³¬½Ã°ø¿ø 2024-07-31 117
    506 º¯ÇÔ¾ø´Â È£Á¶È² ¸¶Àü³¬½Ã°ø¿ø 2024-07-29 56
    505 ³¯¾¾¿¡ º¯ÇÔ¾ø´Â È£Á¶È² ¸¶Àü³¬½Ã°ø¿ø 2024-07-26 66
    504 ²ÙÁØÇÑ È£Á¶È²!! ¸¶Àü³¬½Ã°ø¿ø 2024-07-24 73
    503 1Åæ ¹æ·ù ÈÄ, ´ë¹Ú Á¶È²!! ¸¶Àü³¬½Ã°ø¿ø 2024-07-22 85
    502 ³»ÀÏ 1t¹æ·ù!! ¸¶Àü³¬½Ã°ø¿ø 2024-07-19 76
    501 ³¯¾¾¿¡ ²ô´ö ¾ø´Â Á¶È² ¼Ò½Ä ¸¶Àü³¬½Ã°ø¿ø 2024-07-17 77
    500 Ãʺ¹¿¡µµ º¯ÇÔ¾ø´Â Á¶È²¼Ò½Ä ¸¶Àü³¬½Ã°ø¿ø 2024-07-15 59
    499 ´Ù°¡¿À´Â Á¦ 3ȸ °í±â ´ëÀÜÄ¡ ¸¶Àü³¬½Ã°ø¿ø 2024-07-12 61
    498 °è¼ÓµÇ´Â È£Á¶È² ¼Ò½Ä ¸¶Àü³¬½Ã°ø¿ø 2024-07-10 116
    497 ´ë¹Ú Á¶È²°ú Á¦ 3ȸ °í±â ´ëÀÜÄ¡ ¸¶Àü³¬½Ã°ø¿ø 2024-07-08 75
    496 ³¯¾¾¿¡ º¯ÇÔ¾ø´Â Á¶È²¼Ò½Ä ¸¶Àü³¬½Ã°ø¿ø 2024-07-05 60
    495 7¿ù ù Á¶È² ¸¶Àü³¬½Ã°ø¿ø 2024-07-03 56
    494 6¿ù ¸¶Áö¸· Á¶È²±îÁö ¸¶Àü³¬½Ã°ø¿ø 2024-07-01 74
    493 6¿ù ¸¶Áö¸· ÆòÀÏ Á¶È² ¼Ò½Ä ¸¶Àü³¬½Ã°ø¿ø 2024-06-28 73
    492 ´õ¿î ³¯¾¾¿¡µµ ¿©ÀüÈ÷ ¸¶Àü³¬½Ã°ø¿ø 2024-06-26 70

    01 ¡¤ 02 ¡¤ 03 ¡¤ 04 ¡¤ 05 ¡¤ 06 ¡¤ 07 ¡¤ 08 ¡¤ 09 ¡¤ 10


  • ·Î±×ÀλóÅÂÀ¯Áö

    ȸ¿ø°¡ÀÔ   ID/PWã±â
    • ·Î±×Àξȳ»
    • ºñ¹Ð¹øÈ£ ºÐ½Ç ȸ¿øÀº ºñ¹Ð¹øÈ£ ã±â¸¦ Çϰųª °í°´¼¾ÅÍ·Î
      ÀüÈ­ ÁÖ¼¼¿ä

    ÃÖ½ÅÀÔ°í»óǰ

     
     
    •  

°í°´¼¾ÅÍ

02-2203-1733

¿¹±ÝÁÖ : (ÁÖ)ÀÏÇÐ
±¹¹ÎÀºÇà
475801-01-252391
³óÇù
351-1092-8277-73