•   
    • > Á¶È², Á¶Çà±â > Á¶È²Á¤º¸

    Á¶È²Á¤º¸

    Á¶È²Á¤º¸ º¸±â
    ³¯¾¾µµ À̱ä Á¶È²¼Ò½Ä
    Á¶È²Á¤º¸ º¸±â
    ÀÛ¼ºÀÚ : ¸¶Àü³¬½Ã°ø¿ø µî·ÏÀÏ : 2025.07.28

     

     

     

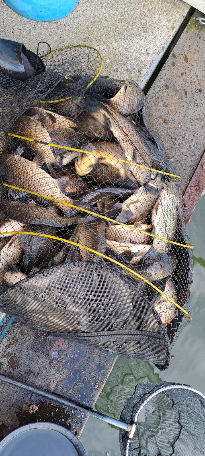
     ¾È³çÇϼ¼¿ä. ¸¶ÀüÁö±âÀÔ´Ï´Ù.

    ¿äÁòÀº ÁÖ¸»µµ ÆòÀÏó·³

    ÀÚ¸®ÆíÂ÷¾øÀÌ ³Ê¹« Àß ³ª¿Í ÁÝ´Ï´Ù.

    ÀÏ¿äÀÏ ¾ÆÄ§¿¡ ÀÏÂï ö¼öÇϼż­ 

    ³²¾Æ°è½Å Á¶»ç´Ôµé »çÁø¸¸ ¿Ã·È½À´Ï´Ù.

    ÀÌ ´õÀ§¿¡µµ ã¾ÆÁֽŠÁ¶»ç´Ôµé²² °¨»çµå¸®¸ç

    °Ç°­ Àß Ã¬±â½Ã±æ ¹Ù¶ø´Ï´Ù.

     

     

     

     

    ¸ÅÁÖ È­,¸ñ,±Ý,Åä ÁÖ4ȸ ºØ¾î ´ë·® ¹æ·ùÇÕ´Ï´Ù. 

      

     

     

     

    KakaoTalk_20250728_114927021.jpg

     

     

    KakaoTalk_20250728_114927021_01.jpg

     

     

    KakaoTalk_20250728_114927021_02.jpg

     

     

    KakaoTalk_20250728_114927021_03.jpg

     

     

    KakaoTalk_20250728_114927021_04.jpg

     

     

    KakaoTalk_20250728_114927021_05.jpg

     

     

    KakaoTalk_20250728_114927021_06.jpg

     

     

    KakaoTalk_20250728_114927021_07.jpg

     

     

    KakaoTalk_20250728_114927021_08.jpg

     

     

    KakaoTalk_20250728_114927021_09.jpg

     

     

    KakaoTalk_20250728_114927021_10.jpg

     

     

    KakaoTalk_20250728_114927021_11.jpg

     

     

    KakaoTalk_20250728_114927021_12.jpg

     

     

    KakaoTalk_20250728_114927021_13.jpg

     

     

    KakaoTalk_20250728_114927021_14.jpg

     

     

    KakaoTalk_20250728_114927021_15.jpg

     

     

    KakaoTalk_20250728_114927021_16.jpg

     

     

    KakaoTalk_20250728_114927021_17.jpg

     

     

    KakaoTalk_20250728_114927021_18.jpg

     

     

    KakaoTalk_20250728_114927021_19.jpg

     

    KakaoTalk_20250728_114927021_20.jpg

     

     

    KakaoTalk_20250728_114927021_21.jpg

     

     

    KakaoTalk_20250728_114927021_22.jpg

     

     

    KakaoTalk_20250728_114927021_23.jpg

     

     

    KakaoTalk_20250728_114927021_24.jpg

     

     

    KakaoTalk_20250728_114927021_25.jpg

     

     

    KakaoTalk_20250728_114927021_26.jpg

     

     

    KakaoTalk_20250728_114927021_27.jpg

     

     

    KakaoTalk_20250728_115013412.jpg

     

     

    KakaoTalk_20250728_115013412_01.jpg

     

     

    KakaoTalk_20250728_115013412_02.jpg

     

     

    KakaoTalk_20250728_115013412_03.jpg

     

     

    KakaoTalk_20250728_115013412_04.jpg

     

     

    KakaoTalk_20250728_115013412_05.jpg

     

     

    KakaoTalk_20250728_115013412_06.jpg

     

     

    KakaoTalk_20250728_115013412_07.jpg

     

     

    KakaoTalk_20250728_115013412_08.jpg

     

     

    KakaoTalk_20250728_115013412_09.jpg

     

     

    KakaoTalk_20250728_115013412_10.jpg

     

     

    KakaoTalk_20250728_115013412_11.jpg

     

     

    KakaoTalk_20250728_115013412_12.jpg

     

     

    KakaoTalk_20250728_115013412_13.jpg

     

     

    KakaoTalk_20250728_115013412_14.jpg

     

     

    KakaoTalk_20250728_115013412_15.jpg

     

    KakaoTalk_20250728_115013412_16.jpg

     

     

    KakaoTalk_20250728_115013412_17.jpg

     

     

    KakaoTalk_20250728_115013412_18.jpg

     

     

    KakaoTalk_20250728_115013412_19.jpg

     

     

    KakaoTalk_20250728_115013412_20.jpg

     

     

    KakaoTalk_20250728_115013412_21.jpg

     

     

    KakaoTalk_20250728_115013412_22.jpg

     

     

    KakaoTalk_20250728_115013412_23.jpg

     

     

    KakaoTalk_20250728_115013412_24.jpg

     

     

    KakaoTalk_20250728_115013412_25.jpg

     

     

    KakaoTalk_20250728_115013412_26.jpg

     

     

    KakaoTalk_20250728_115013412_27.jpg

     

     

    KakaoTalk_20250728_115121858.jpg

     

     

    KakaoTalk_20250728_115121858_01.jpg

     

     

    KakaoTalk_20250728_115121858_02.jpg

     

     

    KakaoTalk_20250728_115121858_03.jpg

     

     

    KakaoTalk_20250728_115121858_04.jpg

     

     

    KakaoTalk_20250728_115121858_05.jpg

     

     

    KakaoTalk_20250728_115121858_06.jpg

     

     

    KakaoTalk_20250728_115121858_07.jpg

     

     

    KakaoTalk_20250728_115121858_08.jpg

     

     

    KakaoTalk_20250728_115121858_09.jpg

     

     

    KakaoTalk_20250728_115121858_10.jpg

     

     

    KakaoTalk_20250728_115121858_11.jpg

     

    KakaoTalk_20250728_115121858_12.jpg

     

     

    KakaoTalk_20250728_115121858_13.jpg

     

     

    KakaoTalk_20250728_115121858_14.jpg

     

     

    KakaoTalk_20250728_115121858_15.jpg

     

     

    KakaoTalk_20250728_115121858_16.jpg

     

     

    KakaoTalk_20250728_115121858_17.jpg

     

     

    KakaoTalk_20250728_115121858_18.jpg

     

     

    KakaoTalk_20250728_115121858_19.jpg

     

     

    KakaoTalk_20250728_115121858_20.jpg

     

     

    KakaoTalk_20250728_115121858_21.jpg

     

     

    KakaoTalk_20250728_115121858_22.jpg

     

     

    KakaoTalk_20250728_115121858_23.jpg

     

     

    KakaoTalk_20250728_115121858_24.jpg

     

     

    KakaoTalk_20250728_115121858_25.jpg

     

     

    KakaoTalk_20250728_115211952.jpg

     

     

    KakaoTalk_20250728_115233721.jpg

     

     

    KakaoTalk_20250728_115255155.jpg

     

     

    KakaoTalk_20250728_115307495.jpg

     

     

    KakaoTalk_20250728_115341790.jpg

     

     

    KakaoTalk_20250728_115341790_01.jpg

     

     

    KakaoTalk_20250728_115341790_02.jpg

     

     

    KakaoTalk_20250728_115341790_03.jpg

     

     

    KakaoTalk_20250728_115341790_04.jpg

     

     

    KakaoTalk_20250728_115341790_05.jpg

     

    KakaoTalk_20250728_115341790_06.jpg

     

     

    KakaoTalk_20250728_115341790_07.jpg

     

     

    KakaoTalk_20250728_115341790_08.jpg

     

     

    KakaoTalk_20250728_115341790_09.jpg

     

     

    KakaoTalk_20250728_115341790_10.jpg

     

     

    KakaoTalk_20250728_115341790_11.jpg

     

     

    KakaoTalk_20250728_115341790_12.jpg

     

     

    KakaoTalk_20250728_115341790_13.jpg

     

     

    KakaoTalk_20250728_115341790_14.jpg

     

     

    KakaoTalk_20250728_115341790_15.jpg

     

     

    KakaoTalk_20250728_115341790_16.jpg

     

     

    KakaoTalk_20250728_115405336.jpg

     

     

    KakaoTalk_20250728_115405336_01.jpg

     

     

    KakaoTalk_20250728_115405336_02.jpg

     

     

    KakaoTalk_20250728_115405336_03.jpg

     

     

    KakaoTalk_20250728_115405336_04.jpg

     

     

    KakaoTalk_20250728_115405336_05.jpg

     

     

    KakaoTalk_20250728_115405336_06.jpg

     

     

    KakaoTalk_20250728_115405336_07.jpg

     

     

    KakaoTalk_20250728_115405336_08.jpg

     

     

    KakaoTalk_20250728_115405336_09.jpg

     

     

    KakaoTalk_20250728_115405336_10.jpg

     

     

    KakaoTalk_20250728_115405336_11.jpg

     

     

    KakaoTalk_20250728_115405336_12.jpg

     

    KakaoTalk_20250728_115405336_13.jpg

     

     

    KakaoTalk_20250728_115405336_14.jpg

     

     

    KakaoTalk_20250728_115405336_15.jpg

     

     

    KakaoTalk_20250728_115405336_16.jpg

     

     

    KakaoTalk_20250728_115405336_17.jpg

     

     

    KakaoTalk_20250728_115405336_18.jpg

     

     

    KakaoTalk_20250728_115405336_19.jpg

     

     

     

    1741017442005-1.jpg

     


    KakaoTalk_20250710_234101893.png

     

     

    Á¦¸ñ ¾øÀ½03.png

     

     

     

    1741017442005-4.jpg

    1,2ÀÎ½Ç ¹æ°¥·Î »çÁø ¾÷µ¥ÀÌÆ®!! 

     


    KakaoTalk_20250710_233941136.png

     

     

    1741017442005-5.jpg

        

    ¸ñ·Ï
    Á¶È²Á¤º¸ ÀÌÀü,´ÙÀ½
    ÀÌÀü±Û ¿À¸ñ³¬½ÃÅÍ 7¿ù28ÀÏ Á¶È²¾È³»!
    ´ÙÀ½±Û Æ÷õµ¿±³³¬½ÃÅÍÀÔ´Ï´Ù



      [¸¶Àü³¬½Ã°ø¿ø´ÔÀÇ ´Ù¸¥±Û]   + Àüü : 666    ÆäÀÌÁö : /27
    Á¶È²Á¤º¸
    ¹øÈ£ Á¦¸ñ ÀÛ¼ºÀÚ ³¯Â¥ Á¶È¸
    666 À̹ø ÁÖ ÁÖ¸»À» ¸¶Áö¸·À¸·Î ÆóÀåÇÕ´Ï´Ù. ¿Ã ÇÑÇØ ¸¹Àº »ç¶ûÁÖ¼Å... ¸¶Àü³¬½Ã°ø¿ø 2025-11-27 34
    665 100¼ö Á¶È²ÀÇ ±â¿î ¸¶Àü³¬½Ã°ø¿ø 2025-11-24 41
    664 ¸¶¹«¸®µµ ²ÙÁØÇÑ 2025³â ¸¶Àü³¬½Ã°ø¿ø 2025-11-21 37
    663 11¿ù¿¡µµ °¡À»ÀÇ Á¶È²!! ¸¶Àü³¬½Ã°ø¿ø 2025-11-17 34
    662 [¸¶Àü³¬½ÃÅÍ] ¼öÇè»ý ¿©·¯ºÐÀ» ÀÀ¿øÇÕ´Ï´Ù. ¸¶Àü³¬½Ã°ø¿ø 2025-11-13 31
    661 ÀÔµ¿À» Áö³­ Á¶È²¼Ò½Ä ¸¶Àü³¬½Ã°ø¿ø 2025-11-10 51
    660 ²ÙÁØÇÔÀÇ ¿¬¼Ó, 11¿ù ¸¶Àü³¬½Ã°ø¿ø 2025-11-07 39
    659 º¯ÇÔ¾ø´Â ¼Ò½Ä ¸¶Àü³¬½Ã°ø¿ø 2025-11-05 34
    658 ¸¸ÃßÀÇ °èÀý 11¿ù, ù Á¶È²¼Ò½Ä ¸¶Àü³¬½Ã°ø¿ø 2025-11-03 35
    657 10¿ùÀÇ ¸¶¹«¸® ¸¶Àü³¬½Ã°ø¿ø 2025-10-31 26
    656 ¿Ê±ê ¿©¹Ì´Â ³¯¾¾¿¡µµ ¸¶Àü³¬½Ã°ø¿ø 2025-10-29 36
    655 10¿ù ¸¶Áö¸·ÁÖ ÁÖ¸»±îÁöµµ ¸¶Àü³¬½Ã°ø¿ø 2025-10-27 25
    654 ¾Æ¸§´Ù¿î Çϴðú ÇÔ²² ¸¶Àü³¬½Ã°ø¿ø 2025-10-24 28
    653 ´ÜdzÀÙ°ú ÇÔ²²Çϴ ȣÁ¶È² ¼Ò½Ä ¸¶Àü³¬½Ã°ø¿ø 2025-10-22 35
    652 °¡À»ÀÇ ³¬½Ãµµ ¸¶Àü³¬½Ã°ø¿ø 2025-10-20 22
    651 ¿©ÀüÈ÷ ²ÙÁØÇÑ È£Á¶È² ¸¶Àü³¬½Ã°ø¿ø 2025-10-17 26
    650 10¿ù Áß¼ø ±îÁöµµ ¸¶Àü³¬½Ã°ø¿ø 2025-10-15 39
    649 Ãß¼®¿¬ÈÞ°¡ ³¡³­ µÚ¿¡µµ ¸¶Àü³¬½Ã°ø¿ø 2025-10-13 27
    648 ±ä ¿¬ÈÞ¿¡µµ ²ÙÁØÇÑ È£Á¶È² ¸¶Àü³¬½Ã°ø¿ø 2025-10-10 24
    647 Ãß¼® ¿¬ÈÞ¿¡µµ °è¼ÓµÇ´Â Âî¿Ã¸² ¸¶Àü³¬½Ã°ø¿ø 2025-10-08 22
    646 dz¼ºÇÑ Ãß¼® º¸³»¼¼¿ä!! ¸¶Àü³¬½Ã°ø¿ø 2025-10-06 36
    645 dz¼ºÇÑ Ãß¼®À» ¸Â¾Æ ´ë·®¹æ·ù!! ¸¶Àü³¬½Ã°ø¿ø 2025-10-03 26
    644 10¿ù ¼±¼±ÇÑ ¹Ù¶÷°ú ÇÔ²²Çϴ ȣÁ¶È² ¸¶Àü³¬½Ã°ø¿ø 2025-10-01 35
    643 9¿ù ¸¶Áö¸· ÁÖµµ ¿ª½Ã!! ¸¶Àü³¬½Ã°ø¿ø 2025-09-29 41
    642 ¼Õ ¸À ÁÁÀº Âî¿Ã¸² ¸¶Àü³¬½Ã°ø¿ø 2025-09-26 43

    01 ¡¤ 02 ¡¤ 03 ¡¤ 04 ¡¤ 05 ¡¤ 06 ¡¤ 07 ¡¤ 08 ¡¤ 09 ¡¤ 10


  • ·Î±×ÀλóÅÂÀ¯Áö

    ȸ¿ø°¡ÀÔ   ID/PWã±â
    • ·Î±×Àξȳ»
    • ºñ¹Ð¹øÈ£ ºÐ½Ç ȸ¿øÀº ºñ¹Ð¹øÈ£ ã±â¸¦ Çϰųª °í°´¼¾ÅÍ·Î
      ÀüÈ­ ÁÖ¼¼¿ä

    ÃÖ½ÅÀÔ°í»óǰ

     
     
    •  

°í°´¼¾ÅÍ

02-2203-1733

¿¹±ÝÁÖ : (ÁÖ)ÀÏÇÐ
±¹¹ÎÀºÇà
475801-01-252391
³óÇù
351-1092-8277-73