•   
    • > Á¶È², Á¶Çà±â > Á¶È²Á¤º¸

    Á¶È²Á¤º¸

    Á¶È²Á¤º¸ º¸±â
    ¾î±è¾ø´Â Á¶È²¼Ò½Ä
    Á¶È²Á¤º¸ º¸±â
    ÀÛ¼ºÀÚ : ¸¶Àü³¬½Ã°ø¿ø µî·ÏÀÏ : 2025.09.03

     

     

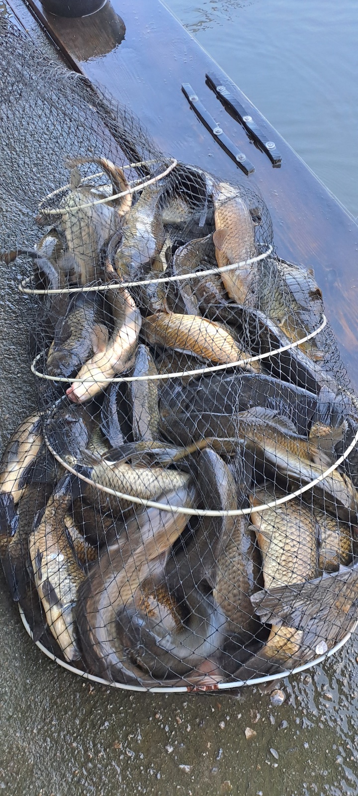
     ¾È³çÇϼ¼¿ä. ¸¶ÀüÁö±âÀÔ´Ï´Ù.

     9¿ù ±âºÐÁÁÀº Á¶°ú°¡ ¿À´Ãµµ °è¼ÓµË´Ï´Ù.

    ¿À¶ô°¡¶ôÇÑ ±ô¦ ºñ¼Ò½Ä¿¡µµ Á¶È²Àº

    Èçµé¸² ¾øÀÌ ÀÚ¸®ÆíÂ÷ ¹ã³· ±¸ºÐ¾ø´Â 

    ÁÁÀº Âî¿Ã¸²ÀÇ Á¶È²À» º¸À̰í ÀÖ½À´Ï´Ù.

    ¿¬ÀÌÀº È£Á¶È² ¼Ò½Ä¿¡ 

    9¿ùµµ ²ÙÁØÇÑ Á¶È²ÀÌ °è¼Ó µÇ±æ ¹Ù¶ø´Ï´Ù.

    À̹ø ÁÖ °¡À»ÀÌ ¿À·ÃÁö °£°£È÷ ºñ¼Ò½ÄÀÌ ÀÖ½À´Ï´Ù.

    ³²Àº 9¿ùÀÇ Ã¹ ÁÖ ÇູÇÏ°í °Ç°­ÇÑ ÇÑ ÁÖ µÇ½Ã±æ ¹Ù¶ø´Ï´Ù.

     

     

     

     

    ¸ÅÁÖ ÁÖ4ȸ È­,¸ñ,±Ý,Åä ºØ¾î ´ë¹æ·ù ÇÕ´Ï´Ù.

     

     

     

     

    KakaoTalk_20250903_095028060.jpg

     

     

    KakaoTalk_20250903_095028060_01.jpg

     

     

    KakaoTalk_20250903_080306461.jpg

     

     

    KakaoTalk_20250903_080306461_01.jpg

     

     

    KakaoTalk_20250903_080306461_02.jpg

     

     

    KakaoTalk_20250903_080306461_03.jpg

     

     

    KakaoTalk_20250903_080306461_04.jpg

     

     

    KakaoTalk_20250903_080306461_05.jpg

     

     

    KakaoTalk_20250903_080306461_06.jpg

     

     

    KakaoTalk_20250903_080432966.jpg

     

     

    KakaoTalk_20250903_080505462.jpg

     

     

    KakaoTalk_20250903_080540451.jpg

     

     

    KakaoTalk_20250903_095331284.jpg

     

     

    KakaoTalk_20250903_095331284_01.jpg

     

     

    KakaoTalk_20250903_095331284_02.jpg

     

     

    KakaoTalk_20250903_095331284_03.jpg

     

     

    KakaoTalk_20250903_095331284_04.jpg

     

     

    KakaoTalk_20250903_095331284_05.jpg

     

     

    KakaoTalk_20250903_095331284_06.jpg

     

     

    KakaoTalk_20250903_095331284_07.jpg

     

     

    KakaoTalk_20250903_095331284_08.jpg

     

     

    KakaoTalk_20250903_095331284_09.jpg

     

     

    KakaoTalk_20250903_095331284_10.jpg

     

     

    KakaoTalk_20250903_095331284_11.jpg

     

     

    KakaoTalk_20250903_095331284_12.jpg

     

     

    KakaoTalk_20250903_095331284_13.jpg

     

     

    KakaoTalk_20250903_095331284_14.jpg

     

    KakaoTalk_20250903_095331284_15.jpg

     

     

    KakaoTalk_20250903_095331284_16.jpg

     

     

    KakaoTalk_20250903_095331284_17.jpg

     

     

    KakaoTalk_20250903_095331284_18.jpg

     

     

    KakaoTalk_20250903_095331284_19.jpg

     

     

    KakaoTalk_20250903_095331284_20.jpg

     

     

    KakaoTalk_20250903_095331284_21.jpg

     

     

    KakaoTalk_20250903_095331284_22.jpg

     

     

    KakaoTalk_20250903_095331284_23.jpg

     

     

    KakaoTalk_20250903_095331284_24.jpg

     

     

    KakaoTalk_20250903_095331284_25.jpg

     

     

    KakaoTalk_20250903_095331284_26.jpg

     

     

    KakaoTalk_20250903_095331284_27.jpg

     

     

    KakaoTalk_20250903_095413729.jpg

     

     

    KakaoTalk_20250903_095413729_01.jpg

     

     

    KakaoTalk_20250903_095413729_02.jpg

     

     

    KakaoTalk_20250903_095413729_03.jpg

     

     

    KakaoTalk_20250903_095413729_04.jpg

     

     

    KakaoTalk_20250903_095413729_05.jpg

     

     

    KakaoTalk_20250903_095413729_06.jpg

     

     

    KakaoTalk_20250903_095413729_07.jpg

     

     

    KakaoTalk_20250903_095413729_08.jpg

     

     

    KakaoTalk_20250903_095413729_09.jpg

     

     

    KakaoTalk_20250903_095413729_10.jpg

     

     

    KakaoTalk_20250903_095413729_11.jpg

     

     

    KakaoTalk_20250903_095413729_12.jpg

     

     

    KakaoTalk_20250903_095413729_13.jpg

     

    KakaoTalk_20250903_095413729_14.jpg

     

     

    KakaoTalk_20250903_095413729_15.jpg

     

     

    KakaoTalk_20250903_095413729_16.jpg

     

     

    KakaoTalk_20250903_095413729_17.jpg

     

     

    KakaoTalk_20250903_095413729_18.jpg

     

     

    KakaoTalk_20250903_095432023.jpg

     

     

    KakaoTalk_20250903_095446119.jpg

     

     

    KakaoTalk_20250903_095459548.jpg

     

     

    KakaoTalk_20250903_095512674.jpg

     

     

     

     


     

     

     

    1741017442005-1.jpg

     


    KakaoTalk_20250710_234101893.png

     

     

    Á¦¸ñ ¾øÀ½03.png

     

     

     

    1741017442005-4.jpg

    1,2ÀÎ½Ç ¹æ°¥·Î »çÁø ¾÷µ¥ÀÌÆ®!! 

     


    KakaoTalk_20250710_233941136.png

     

     

    1741017442005-5.jpg

            

    ¸ñ·Ï
    Á¶È²Á¤º¸ ÀÌÀü,´ÙÀ½
    ÀÌÀü±Û Á¶È²ÀÔ´Ï´Ù
    ´ÙÀ½±Û ºÀÀ糬½ÃÅÍ 25³â 9¿ù 3ÀÏ ¼ö¿äÀÏ Á¶È²



      [¸¶Àü³¬½Ã°ø¿ø´ÔÀÇ ´Ù¸¥±Û]   + Àüü : 670    ÆäÀÌÁö : 1/27
    Á¶È²Á¤º¸
    ¹øÈ£ Á¦¸ñ ÀÛ¼ºÀÚ ³¯Â¥ Á¶È¸
    670 Ȱ¹ßÇÑ ºØ¾îÀÇ ¿òÁ÷ÀÓ ¸¶Àü³¬½Ã°ø¿ø 2026-03-06 46
    669 Ãʺ½ ²ÙÁØÇÑ ÀÔÁú ¸¶Àü³¬½Ã°ø¿ø 2026-03-03 60
    668 ¿À´ÃºÎÅÍ ½ÃÀ۵Ǵ Âî¿Ã¸² ¸¶Àü³¬½Ã°ø¿ø 2026-02-28 64
    667 µåµð¾î ±â´Ù¸² ³¡¿¡ ½ÃÀ۵˴ϴÙ!! ¸¶Àü³¬½Ã°ø¿ø 2026-02-25 84
    666 À̹ø ÁÖ ÁÖ¸»À» ¸¶Áö¸·À¸·Î ÆóÀåÇÕ´Ï´Ù. ¿Ã ÇÑÇØ ¸¹Àº »ç¶ûÁÖ¼Å... ¸¶Àü³¬½Ã°ø¿ø 2025-11-27 49
    665 100¼ö Á¶È²ÀÇ ±â¿î ¸¶Àü³¬½Ã°ø¿ø 2025-11-24 50
    664 ¸¶¹«¸®µµ ²ÙÁØÇÑ 2025³â ¸¶Àü³¬½Ã°ø¿ø 2025-11-21 50
    663 11¿ù¿¡µµ °¡À»ÀÇ Á¶È²!! ¸¶Àü³¬½Ã°ø¿ø 2025-11-17 41
    662 [¸¶Àü³¬½ÃÅÍ] ¼öÇè»ý ¿©·¯ºÐÀ» ÀÀ¿øÇÕ´Ï´Ù. ¸¶Àü³¬½Ã°ø¿ø 2025-11-13 40
    661 ÀÔµ¿À» Áö³­ Á¶È²¼Ò½Ä ¸¶Àü³¬½Ã°ø¿ø 2025-11-10 64
    660 ²ÙÁØÇÔÀÇ ¿¬¼Ó, 11¿ù ¸¶Àü³¬½Ã°ø¿ø 2025-11-07 47
    659 º¯ÇÔ¾ø´Â ¼Ò½Ä ¸¶Àü³¬½Ã°ø¿ø 2025-11-05 48
    658 ¸¸ÃßÀÇ °èÀý 11¿ù, ù Á¶È²¼Ò½Ä ¸¶Àü³¬½Ã°ø¿ø 2025-11-03 47
    657 10¿ùÀÇ ¸¶¹«¸® ¸¶Àü³¬½Ã°ø¿ø 2025-10-31 33
    656 ¿Ê±ê ¿©¹Ì´Â ³¯¾¾¿¡µµ ¸¶Àü³¬½Ã°ø¿ø 2025-10-29 46
    655 10¿ù ¸¶Áö¸·ÁÖ ÁÖ¸»±îÁöµµ ¸¶Àü³¬½Ã°ø¿ø 2025-10-27 36
    654 ¾Æ¸§´Ù¿î Çϴðú ÇÔ²² ¸¶Àü³¬½Ã°ø¿ø 2025-10-24 37
    653 ´ÜdzÀÙ°ú ÇÔ²²Çϴ ȣÁ¶È² ¼Ò½Ä ¸¶Àü³¬½Ã°ø¿ø 2025-10-22 44
    652 °¡À»ÀÇ ³¬½Ãµµ ¸¶Àü³¬½Ã°ø¿ø 2025-10-20 31
    651 ¿©ÀüÈ÷ ²ÙÁØÇÑ È£Á¶È² ¸¶Àü³¬½Ã°ø¿ø 2025-10-17 35
    650 10¿ù Áß¼ø ±îÁöµµ ¸¶Àü³¬½Ã°ø¿ø 2025-10-15 45
    649 Ãß¼®¿¬ÈÞ°¡ ³¡³­ µÚ¿¡µµ ¸¶Àü³¬½Ã°ø¿ø 2025-10-13 36
    648 ±ä ¿¬ÈÞ¿¡µµ ²ÙÁØÇÑ È£Á¶È² ¸¶Àü³¬½Ã°ø¿ø 2025-10-10 31
    647 Ãß¼® ¿¬ÈÞ¿¡µµ °è¼ÓµÇ´Â Âî¿Ã¸² ¸¶Àü³¬½Ã°ø¿ø 2025-10-08 32
    646 dz¼ºÇÑ Ãß¼® º¸³»¼¼¿ä!! ¸¶Àü³¬½Ã°ø¿ø 2025-10-06 43

    01 ¡¤ 02 ¡¤ 03 ¡¤ 04 ¡¤ 05 ¡¤ 06 ¡¤ 07 ¡¤ 08 ¡¤ 09 ¡¤ 10


  • ·Î±×ÀλóÅÂÀ¯Áö

    ȸ¿ø°¡ÀÔ   ID/PWã±â
    • ·Î±×Àξȳ»
    • ºñ¹Ð¹øÈ£ ºÐ½Ç ȸ¿øÀº ºñ¹Ð¹øÈ£ ã±â¸¦ Çϰųª °í°´¼¾ÅÍ·Î
      ÀüÈ­ ÁÖ¼¼¿ä

    ÃÖ½ÅÀÔ°í»óǰ

     
     
    •  

°í°´¼¾ÅÍ

02-2203-1733

¿¹±ÝÁÖ : (ÁÖ)ÀÏÇÐ
±¹¹ÎÀºÇà
475801-01-252391
³óÇù
351-1092-8277-73