•   
    • > Á¶È², Á¶Çà±â > Á¶È²Á¤º¸

    Á¶È²Á¤º¸

    Á¶È²Á¤º¸ º¸±â
    Æ÷õµ¿±³³¬½ÃÅÍÀÔ´Ï´Ù
    Á¶È²Á¤º¸ º¸±â
    ÀÛ¼ºÀÚ : µ¿±³³¬½ÃÅÍ µî·ÏÀÏ : 2025.10.13

     

    µ¿±³³¬½ÃÅÍÀÔ´Ï´Ù

     

    ¾È³çÇϼ¼¿ä

    µ¿±³³¬½ÃÅ͸¦ ã¾ÆÁÖ½Å

    ¸ðµç Á¶»ç´Ôµé²² °¨»çµå¸³´Ï´Ù

     

    ¿À´Ãµµ ºñ°¡ Àß¿À±¸ÀÖ½À´Ï´Ù

    ºñ°¡ Á¶±Ý¸¸ ³»¸°´ÙÇÏ´õ´Ï¸¸

    Æþ´çÆþ´ç ¿©¸§ºñó·³ À߿Ϳä

    ¹Ù¶÷µÎ ºÒ±¸ ³¬½ÃÇϽñâ´Â ¾î·Á¿î ȯ°æÀä

    ºØ¾î´Â ¿òÁ÷À̳׿ä

     

    À̹øÁÖ ³»³» ºñ¿¹º¸°¡ Àִµ¥¿ä

    À̹øºñ°¡ ¿À±¸³ª¼­ ´õ Ãß¿öÁø´Ù°íÇÕ´Ï´Ù

    ³¬½Ã¿À½Ç¶§ 

    ÆÐµùÀá¹Ù ¹æÇÑ¿ëǰÀº ì°Ü¿À½Ê½Ã¿ä

    °¨»çÇÕ´Ï´Ù

     


     

    KakaoTalk_20251013_113854939_04.jpg

     

     

    KakaoTalk_20251013_113854939_05.jpg

     

     

    KakaoTalk_20251013_113854939_06.jpg

     

     

    KakaoTalk_20251013_113854939_07.jpg

     

     

    KakaoTalk_20251013_134033860.jpg

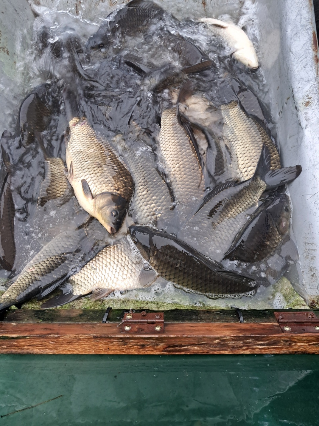
    ÃÖ±Ù¿¡ ±ÝºØ¾îµéÀÌ ³ª¿À±¸ÀÖ½À´Ï´Ù

    ±ÝºØ¾îÀâÀ¸½Ã¸é ÀÎÁõ¼¦ºÎÅÍ ÂûĬ^^

    Ä¿ÇÇÇϳªµå¸³´Ï´Ù 

     

    KakaoTalk_20251013_134053013.jpg

     

     

    KakaoTalk_20251013_150549422.jpg

     

     

    KakaoTalk_20251012_090736349.jpg

     

     

    KakaoTalk_20251012_090736349_01.jpg

     

     

    KakaoTalk_20251012_090736349_02.jpg

     

     

    KakaoTalk_20251013_113854939.jpg

     

     

    KakaoTalk_20251013_113854939_01.jpg

     

     

    KakaoTalk_20251013_113854939_02.jpg

     

     

    KakaoTalk_20251013_113854939_03.jpg

     

     

    KakaoTalk_20251012_174634390.jpg

     

     

    KakaoTalk_20230621_194930999.jpg

     

     

    KakaoTalk_20210628_115250714.png

     


       *µ¿±³³¬½ÃÅÍ´Â 3.2Ä­ÀÌÇÏ 2´ë·Î Á¦ÇÑÇÕ´Ï´Ù.

        *±³´ë(µ¹¸²),´ë¸®³¬½Ã,ÁßÃþ(³»¸²)³¬½Ã±ÝÁöÇÕ´Ï´Ù.

       *ÀüÁÂ´ë ½áÄ¡»ç¿ëÀ» ±ÝÁöÇÕ´Ï´Ù.

       *¹æ°¥·Î ¾Ö¿Ïµ¿¹°±ÝÁöÇÕ´Ï´Ù.

       *¹æ°¥·Î Ãë»ç±ÝÁöÇÕ´Ï´Ù.

       *¹æ°¥·Î Ãß°¡Àοø1¸í´ç 1¸¸¿øÃß°¡ÀÔ´Ï´Ù.  

     


    4205_18090308315886186_18090308352092510[1].png

     

     

    KakaoTalk_20230516_175852205.jpg

     

     

    KakaoTalk_20230403_090522554.jpg

     

     

     

    1ÀοëÁ´빮Àǰ¡ ¸¹À¸½Åµ¥¿ä
    *µ¿±³³¬½ÃÅÍ´Â 1ÀÎ¿ë¹æ°¥·Î°¡ ¾ø½À´Ï´Ù*
    ÆòÀÏ 2Àι氥·Î 1À㬽ÃÇÏ½Ã¸é   ¹æ°¥·Îºñ¿ë : 7¸¸¿ø
    ÆòÀÏ 2Àι氥·Î 1Àγ¬½Ã µ¿¹Ý1ÀÎ ¹æ°¥·Îºñ¿ë : 8¸¸¿ø
    ÁÖ¸» °øÈÞÀÏ 2Àι氥·Î 1À㬽ÃÇÏ½Ã¸é ¹æ°¥·Îºñ¿ë : 10¸¸¿ø
      ÁÖ¸» °øÈÞÀÏ 2Àι氥·Î 1Àγ¬½Ã µ¿¹Ý1ÀÎ ¹æ°¥·Îºñ¿ë : 12¸¸¿ø

    *¹æ°¥·Î ¿¹¾àÇϽǶ§ Âü°íÇØÁּſä* 

     

     

     

    KakaoTalk_20200508_175743967.jpg

     

     


     

    KakaoTalk_20250428_134019864.jpg

     

     

    KakaoTalk_20250424_140845538_06.jpg

     

     

     

    KakaoTalk_20250425_144118142.jpg

    µ¿±³¹ä»óÀº »ý¼±±¸ÀÌ¿Í ±èÄ¡Âî°³

    µ¿±³Á¦À°¹ä»óÀº Á¦À°ººÀ½°ú µÈÀåÂî°³

    ¼¼Æ®·Î µÇ¾îÀÖ½À´Ï´Ù

     

    Àú´Â ¿À´Ã Äá±¹¼ö¸¦ ¸Ô¾ú´Âµ¥¿ä

    ´õ¿ï¶§ µå½Ã¸é ³Ê¹« ÁÁÀ¸½Ç²¨°°¾Æ¿ä

    (»ç¸ð´Ô²²¼­ Á÷Á¢ °¥¾Æ¸¸µç Äá±¹¼öÀÔ´Ï´Ù)

     

    ´ß¿ä¸®´Â 1½Ã°£Àü¿¡ ¹Ì¸® ÁÖ¹®ºÎʵ右´Ï´Ù

    °¨»çÇÕ´Ï´Ù 

     

    KakaoTalk_20230620_161725157.jpg

     

     

     

     

     

     

     

    KakaoTalk_20230620_162313367.jpg

     

     

    ¸ñ·Ï
    Á¶È²Á¤º¸ ÀÌÀü,´ÙÀ½
    ÀÌÀü±Û Á¶È²Á¤º¸ ¹× ¹æ·ù!!!
    ´ÙÀ½±Û ¿¡´çÁö ¾ÖÇÃÁ´ë



      [µ¿±³³¬½ÃÅÍ´ÔÀÇ ´Ù¸¥±Û]   + Àüü : 508    ÆäÀÌÁö : /21
    Á¶È²Á¤º¸
    ¹øÈ£ Á¦¸ñ ÀÛ¼ºÀÚ ³¯Â¥ Á¶È¸
    508 Æ÷õµ¿±³³¬½ÃÅÍÀÔ´Ï´Ù. µ¿±³³¬½ÃÅÍ 2025-12-10 48
    507 Æ÷õµ¿±³³¬½ÃÅÍÀÔ´Ï´Ù µ¿±³³¬½ÃÅÍ 2025-11-24 52
    506 Æ÷õµ¿±³³¬½ÃÅÍÀÔ´Ï´Ù µ¿±³³¬½ÃÅÍ 2025-11-17 56
    505 Æ÷õ µ¿±³³¬½ÃÅÍÀÔ´Ï´Ù µ¿±³³¬½ÃÅÍ 2025-11-10 54
    504 Æ÷õµ¿±³³¬½ÃÅÍÀÔ´Ï´Ù µ¿±³³¬½ÃÅÍ 2025-11-07 53
    503 Æ÷õµ¿±³³¬½ÃÅÍÀÔ´Ï´Ù µ¿±³³¬½ÃÅÍ 2025-11-03 53
    502 Æ÷õµ¿±³³¬½ÃÅÍÀÔ´Ï´Ù µ¿±³³¬½ÃÅÍ 2025-10-27 55
    501 Æ÷õµ¿±³³¬½ÃÅÍÀÔ´Ï´Ù µ¿±³³¬½ÃÅÍ 2025-10-20 52
    500 Æ÷õµ¿±³³¬½ÃÅÍÀÔ´Ï´Ù µ¿±³³¬½ÃÅÍ 2025-10-17 51
    499 Æ÷õµ¿±³³¬½ÃÅÍÀÔ´Ï´Ù µ¿±³³¬½ÃÅÍ 2025-10-13 50
    498 Æ÷õµ¿±³³¬½ÃÅÍÀÔ´Ï´Ù µ¿±³³¬½ÃÅÍ 2025-10-10 39
    497 Æ÷õµ¿±³³¬½ÃÅÍÀÔ´Ï´Ù µ¿±³³¬½ÃÅÍ 2025-10-05 39
    496 Æ÷õµ¿±³³¬½ÃÅÍÀÔ´Ï´Ù µ¿±³³¬½ÃÅÍ 2025-09-29 49
    495 Æ÷õµ¿±³³¬½ÃÅÍÀÔ´Ï´Ù µ¿±³³¬½ÃÅÍ 2025-09-26 46
    494 Æ÷õµ¿±³³¬½ÃÅÍÀÔ´Ï´Ù µ¿±³³¬½ÃÅÍ 2025-09-22 52
    493 Æ÷õµ¿±³³¬½ÃÅÍÀÔ´Ï´Ù µ¿±³³¬½ÃÅÍ 2025-09-19 47
    492 Æ÷õµ¿±³³¬½ÃÅÍÀÔ´Ï´Ù µ¿±³³¬½ÃÅÍ 2025-09-15 42
    491 Æ÷õµ¿±³³¬½ÃÅÍÀÔ´Ï´Ù µ¿±³³¬½ÃÅÍ 2025-09-08 90
    490 Æ÷õµ¿±³³¬½ÃÅÍÀÔ´Ï´Ù µ¿±³³¬½ÃÅÍ 2025-09-05 45
    489 Æ÷õµ¿±³³¬½ÃÅÍÀÔ´Ï´Ù µ¿±³³¬½ÃÅÍ 2025-09-01 56
    488 Æ÷õµ¿±³³¬½ÃÅÍÀÔ´Ï´Ù µ¿±³³¬½ÃÅÍ 2025-08-25 64
    487 Æ÷õµ¿±³³¬½ÃÅÍÀÔ´Ï´Ù µ¿±³³¬½ÃÅÍ 2025-08-22 39
    486 Æ÷õµ¿±³³¬½ÃÅÍÀÔ´Ï´Ù µ¿±³³¬½ÃÅÍ 2025-08-18 45
    485 Æ÷õµ¿±³³¬½ÃÅÍÀÔ´Ï´Ù µ¿±³³¬½ÃÅÍ 2025-08-15 42
    484 Æ÷õµ¿±³³¬½ÃÅÍÀÔ´Ï´Ù µ¿±³³¬½ÃÅÍ 2025-08-14 50

    01 ¡¤ 02 ¡¤ 03 ¡¤ 04 ¡¤ 05 ¡¤ 06 ¡¤ 07 ¡¤ 08 ¡¤ 09 ¡¤ 10


  • ·Î±×ÀλóÅÂÀ¯Áö

    ȸ¿ø°¡ÀÔ   ID/PWã±â
    • ·Î±×Àξȳ»
    • ºñ¹Ð¹øÈ£ ºÐ½Ç ȸ¿øÀº ºñ¹Ð¹øÈ£ ã±â¸¦ Çϰųª °í°´¼¾ÅÍ·Î
      ÀüÈ­ ÁÖ¼¼¿ä

    ÃÖ½ÅÀÔ°í»óǰ

     
     
    •  

°í°´¼¾ÅÍ

02-2203-1733

¿¹±ÝÁÖ : (ÁÖ)ÀÏÇÐ
±¹¹ÎÀºÇà
475801-01-252391
³óÇù
351-1092-8277-73