•   
    • > Á¶È², Á¶Çà±â > Á¶È²Á¤º¸

    Á¶È²Á¤º¸

    Á¶È²Á¤º¸ º¸±â
    ÀÔµ¿À» Áö³­ Á¶È²¼Ò½Ä
    Á¶È²Á¤º¸ º¸±â
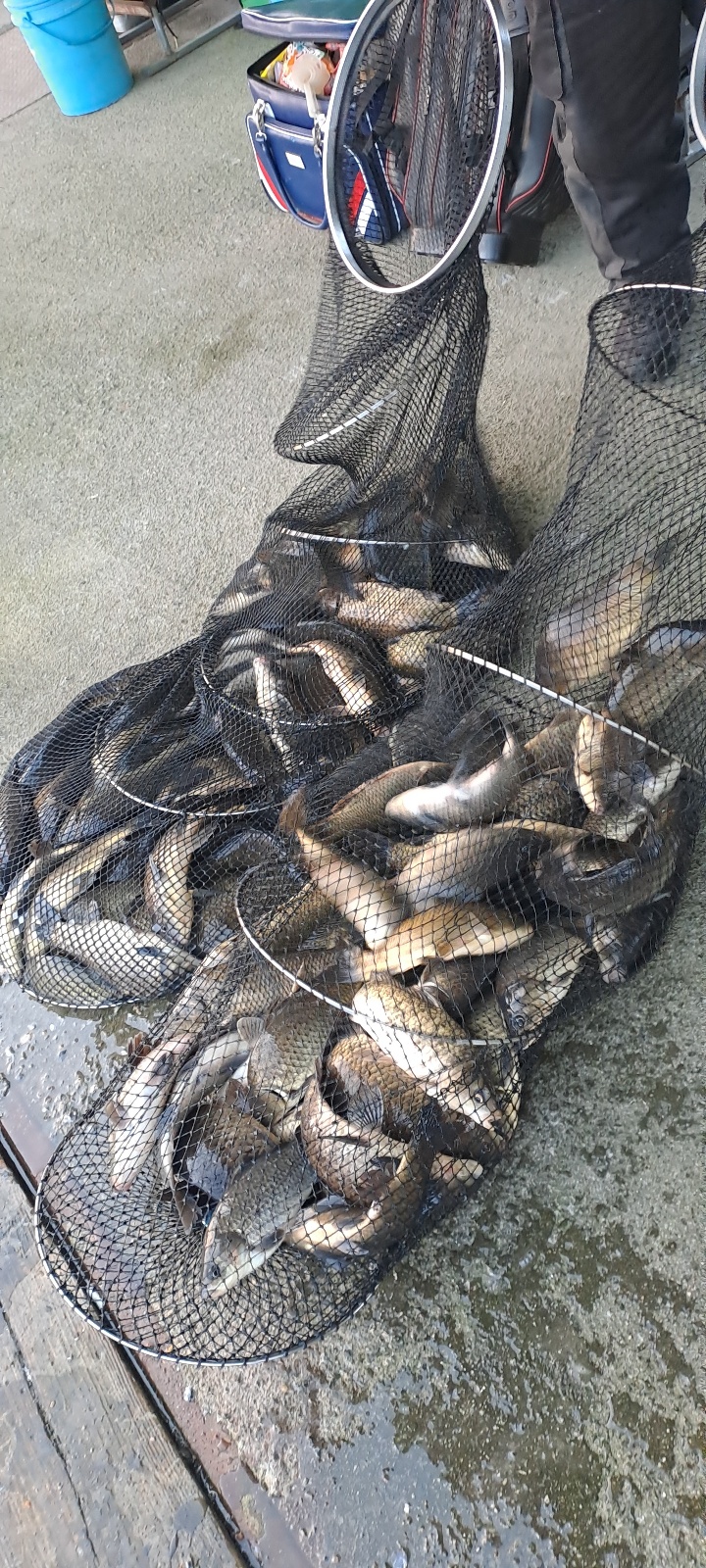
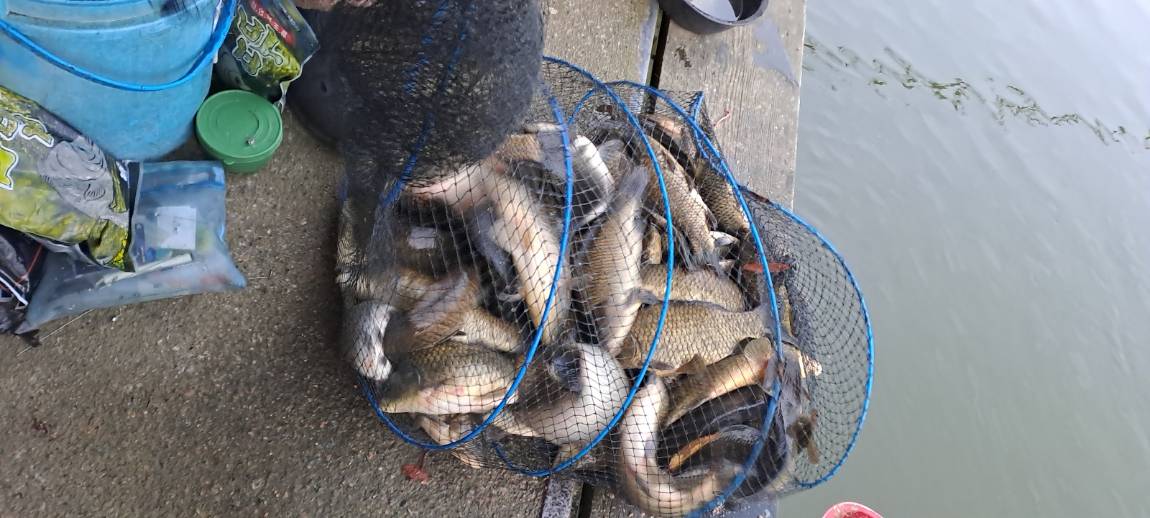
    ÀÛ¼ºÀÚ : ¸¶Àü³¬½Ã°ø¿ø µî·ÏÀÏ : 2025.11.10

     

     

     ¾È³çÇϼ¼¿ä. ¸¶ÀüÁö±âÀÔ´Ï´Ù.

    Áö³­ ÁÖ ±Ý¿äÀÏ ÀÔµ¿ÀÌ Áö³µ½À´Ï´Ù.

    °Ü¿ïÀÇ ½ÃÀÛÀ» ¾Ë¸®´Â ÀÔµ¿Ã³·³

    °¡À»ÀÇ ³«¿±ÀÌ ¶³¾îÁö°í Ãß¿öÁö°í ÀÖ½À´Ï´Ù.

    º¯È­¼Ó¿¡¼­µµ ´Ã Æò¾ÈÇÑ ³ª³¯ º¸³»½Ã±æ ¹Ù¶ø´Ï´Ù.

    ²ÙÁØÇÑ Á¶È²Àº ³¯¾¾¿¡ »ó°ü¾øÀÌ °è¼ÓµÇ°í ÀÖ½À´Ï´Ù.

    ÀÚ¸®ÆíÂ÷, ¹ã°ú ³· ¸ðµÎ ÁÁÀº Á¶°ú¸¦ º¸À̰í ÀÖ½À´Ï´Ù.

    ÃßÀ§°¡ Á¡Á¡ Áö¹èÇÏ´Â ¿äÁò,

    ¿Ê µûµíÇÏ°Ô ÀÔÀ¸½Ã°í °¨±â Á¶½ÉÇÏ½Ã±æ ¹Ù¶ø´Ï´Ù.

     

     

    ¸ÅÁÖ ºØ¾î ´ë¹æ·ù ÇÕ´Ï´Ù.

     

     

     

    KakaoTalk_20251110_101055120.jpg

     

     

    KakaoTalk_20251110_101055120_01.jpg

     

     

    KakaoTalk_20251110_101055120_02.jpg

     

     

    KakaoTalk_20251110_101055120_03.jpg

     

     

    KakaoTalk_20251110_101055120_04.jpg

     

     

    KakaoTalk_20251110_101055120_05.jpg

     

     

    KakaoTalk_20251110_101055120_06.jpg

     

     

    KakaoTalk_20251110_101055120_07.jpg

     

     

    KakaoTalk_20251110_101055120_08.jpg

     

     

    KakaoTalk_20251110_101055120_09.jpg

     

     

    KakaoTalk_20251110_101055120_10.jpg

     

     

    KakaoTalk_20251110_101055120_11.jpg

     

     

    KakaoTalk_20251110_101055120_12.jpg

     

     

    KakaoTalk_20251110_101055120_13.jpg

     

     

    KakaoTalk_20251110_101055120_14.jpg

     

     

    KakaoTalk_20251110_101055120_15.jpg

     

     

    KakaoTalk_20251110_101055120_16.jpg

     

     

    KakaoTalk_20251110_101055120_17.jpg

     

     

    KakaoTalk_20251110_101055120_18.jpg

     

     

    KakaoTalk_20251110_101055120_19.jpg

     

     

    KakaoTalk_20251110_101055120_20.jpg

     

     

    KakaoTalk_20251110_101118761.jpg

     

     

    KakaoTalk_20251110_101118761_01.jpg

     

     

    KakaoTalk_20251110_101118761_02.jpg

     

     

    KakaoTalk_20251110_101118761_03.jpg

     

     

    KakaoTalk_20251110_101118761_04.jpg

     

     

    KakaoTalk_20251110_101118761_05.jpg

     

    KakaoTalk_20251110_101118761_06.jpg

     

     

    KakaoTalk_20251110_101118761_07.jpg

     

     

    KakaoTalk_20251110_101118761_08.jpg

     

     

    KakaoTalk_20251110_101118761_09.jpg

     

     

    KakaoTalk_20251110_101118761_10.jpg

     

     

    KakaoTalk_20251110_101118761_11.jpg

     

     

    KakaoTalk_20251110_101138483.jpg

     

     

    KakaoTalk_20251110_101155448.jpg

     

     

    KakaoTalk_20251110_101207944.jpg

     

     

    KakaoTalk_20251110_101220674.jpg

     

     

    KakaoTalk_20251110_101236194.jpg

     

     

    KakaoTalk_20251110_101248203.jpg

     

     

    KakaoTalk_20251110_101328524.jpg

     

     

    KakaoTalk_20251110_101328524_01.jpg

     

     

    KakaoTalk_20251110_101328524_02.jpg

     

     

    KakaoTalk_20251110_101328524_03.jpg

     

     

    KakaoTalk_20251110_101328524_04.jpg

     

     

    KakaoTalk_20251110_101328524_05.jpg

     

     

    KakaoTalk_20251110_101328524_06.jpg

     

     

    KakaoTalk_20251110_101328524_07.jpg

     

     

    KakaoTalk_20251110_101328524_08.jpg

     

     

    KakaoTalk_20251110_101328524_09.jpg

     

     

    KakaoTalk_20251110_101328524_10.jpg

     

     

    KakaoTalk_20251110_101328524_11.jpg

     

     

    KakaoTalk_20251110_101328524_12.jpg

     

     

    KakaoTalk_20251110_101328524_13.jpg

     

     

    KakaoTalk_20251110_101328524_14.jpg

     

    KakaoTalk_20251110_101328524_15.jpg

     

     

    KakaoTalk_20251110_101328524_16.jpg

     

     

    KakaoTalk_20251110_101328524_17.jpg

     

     

    KakaoTalk_20251110_101328524_18.jpg

     

     

    1741017442005-1.jpg

     


    KakaoTalk_20250710_234101893.png

     

     

    Á¦¸ñ ¾øÀ½03.png

     

     

     

    1741017442005-4.jpg

    1,2ÀÎ½Ç ¹æ°¥·Î »çÁø ¾÷µ¥ÀÌÆ®!! 

     


    KakaoTalk_20250710_233941136.png

     

     

    1741017442005-5.jpg

                 

    ¸ñ·Ï



      [¸¶Àü³¬½Ã°ø¿ø´ÔÀÇ ´Ù¸¥±Û]   + Àüü : 666    ÆäÀÌÁö : /27
    Á¶È²Á¤º¸
    ¹øÈ£ Á¦¸ñ ÀÛ¼ºÀÚ ³¯Â¥ Á¶È¸
    666 À̹ø ÁÖ ÁÖ¸»À» ¸¶Áö¸·À¸·Î ÆóÀåÇÕ´Ï´Ù. ¿Ã ÇÑÇØ ¸¹Àº »ç¶ûÁÖ¼Å... ¸¶Àü³¬½Ã°ø¿ø 2025-11-27 31
    665 100¼ö Á¶È²ÀÇ ±â¿î ¸¶Àü³¬½Ã°ø¿ø 2025-11-24 40
    664 ¸¶¹«¸®µµ ²ÙÁØÇÑ 2025³â ¸¶Àü³¬½Ã°ø¿ø 2025-11-21 35
    663 11¿ù¿¡µµ °¡À»ÀÇ Á¶È²!! ¸¶Àü³¬½Ã°ø¿ø 2025-11-17 33
    662 [¸¶Àü³¬½ÃÅÍ] ¼öÇè»ý ¿©·¯ºÐÀ» ÀÀ¿øÇÕ´Ï´Ù. ¸¶Àü³¬½Ã°ø¿ø 2025-11-13 29
    661 ÀÔµ¿À» Áö³­ Á¶È²¼Ò½Ä ¸¶Àü³¬½Ã°ø¿ø 2025-11-10 50
    660 ²ÙÁØÇÔÀÇ ¿¬¼Ó, 11¿ù ¸¶Àü³¬½Ã°ø¿ø 2025-11-07 38
    659 º¯ÇÔ¾ø´Â ¼Ò½Ä ¸¶Àü³¬½Ã°ø¿ø 2025-11-05 33
    658 ¸¸ÃßÀÇ °èÀý 11¿ù, ù Á¶È²¼Ò½Ä ¸¶Àü³¬½Ã°ø¿ø 2025-11-03 34
    657 10¿ùÀÇ ¸¶¹«¸® ¸¶Àü³¬½Ã°ø¿ø 2025-10-31 26
    656 ¿Ê±ê ¿©¹Ì´Â ³¯¾¾¿¡µµ ¸¶Àü³¬½Ã°ø¿ø 2025-10-29 36
    655 10¿ù ¸¶Áö¸·ÁÖ ÁÖ¸»±îÁöµµ ¸¶Àü³¬½Ã°ø¿ø 2025-10-27 25
    654 ¾Æ¸§´Ù¿î Çϴðú ÇÔ²² ¸¶Àü³¬½Ã°ø¿ø 2025-10-24 27
    653 ´ÜdzÀÙ°ú ÇÔ²²Çϴ ȣÁ¶È² ¼Ò½Ä ¸¶Àü³¬½Ã°ø¿ø 2025-10-22 34
    652 °¡À»ÀÇ ³¬½Ãµµ ¸¶Àü³¬½Ã°ø¿ø 2025-10-20 22
    651 ¿©ÀüÈ÷ ²ÙÁØÇÑ È£Á¶È² ¸¶Àü³¬½Ã°ø¿ø 2025-10-17 24
    650 10¿ù Áß¼ø ±îÁöµµ ¸¶Àü³¬½Ã°ø¿ø 2025-10-15 39
    649 Ãß¼®¿¬ÈÞ°¡ ³¡³­ µÚ¿¡µµ ¸¶Àü³¬½Ã°ø¿ø 2025-10-13 27
    648 ±ä ¿¬ÈÞ¿¡µµ ²ÙÁØÇÑ È£Á¶È² ¸¶Àü³¬½Ã°ø¿ø 2025-10-10 23
    647 Ãß¼® ¿¬ÈÞ¿¡µµ °è¼ÓµÇ´Â Âî¿Ã¸² ¸¶Àü³¬½Ã°ø¿ø 2025-10-08 21
    646 dz¼ºÇÑ Ãß¼® º¸³»¼¼¿ä!! ¸¶Àü³¬½Ã°ø¿ø 2025-10-06 35
    645 dz¼ºÇÑ Ãß¼®À» ¸Â¾Æ ´ë·®¹æ·ù!! ¸¶Àü³¬½Ã°ø¿ø 2025-10-03 26
    644 10¿ù ¼±¼±ÇÑ ¹Ù¶÷°ú ÇÔ²²Çϴ ȣÁ¶È² ¸¶Àü³¬½Ã°ø¿ø 2025-10-01 35
    643 9¿ù ¸¶Áö¸· ÁÖµµ ¿ª½Ã!! ¸¶Àü³¬½Ã°ø¿ø 2025-09-29 41
    642 ¼Õ ¸À ÁÁÀº Âî¿Ã¸² ¸¶Àü³¬½Ã°ø¿ø 2025-09-26 41

    01 ¡¤ 02 ¡¤ 03 ¡¤ 04 ¡¤ 05 ¡¤ 06 ¡¤ 07 ¡¤ 08 ¡¤ 09 ¡¤ 10


  • ·Î±×ÀλóÅÂÀ¯Áö

    ȸ¿ø°¡ÀÔ   ID/PWã±â
    • ·Î±×Àξȳ»
    • ºñ¹Ð¹øÈ£ ºÐ½Ç ȸ¿øÀº ºñ¹Ð¹øÈ£ ã±â¸¦ Çϰųª °í°´¼¾ÅÍ·Î
      ÀüÈ­ ÁÖ¼¼¿ä

    ÃÖ½ÅÀÔ°í»óǰ

     
     
    •  

°í°´¼¾ÅÍ

02-2203-1733

¿¹±ÝÁÖ : (ÁÖ)ÀÏÇÐ
±¹¹ÎÀºÇà
475801-01-252391
³óÇù
351-1092-8277-73